2026年3月28日
こんにちは!Fish & Bubbles(フィッシュアンドバブルズ)です。本日は、いつも遊びに来てくださるリピーターのお二人と、慶良間諸島の美しい海へ行ってきました!去年1年間、耳抜きやフリー潜降、そして浮力コントロールを一生懸命練習してきたお二人。今日はその成果がしっかりと現れ、見違えるほどスムーズに潜れるようになっていました!これだけスキルアップできれば、今年はさらに色々なポイントに挑戦できそうで、今からワクワクが止まりませんね。
本日の慶良間・海況データ
•ポイント: 1. 野崎 2. 唐馬ナンバー2 3. アリガーケーブル
•水温: 22.0℃
•透明度: 20m〜25m
•海況: 穏やか・曇り/晴れ
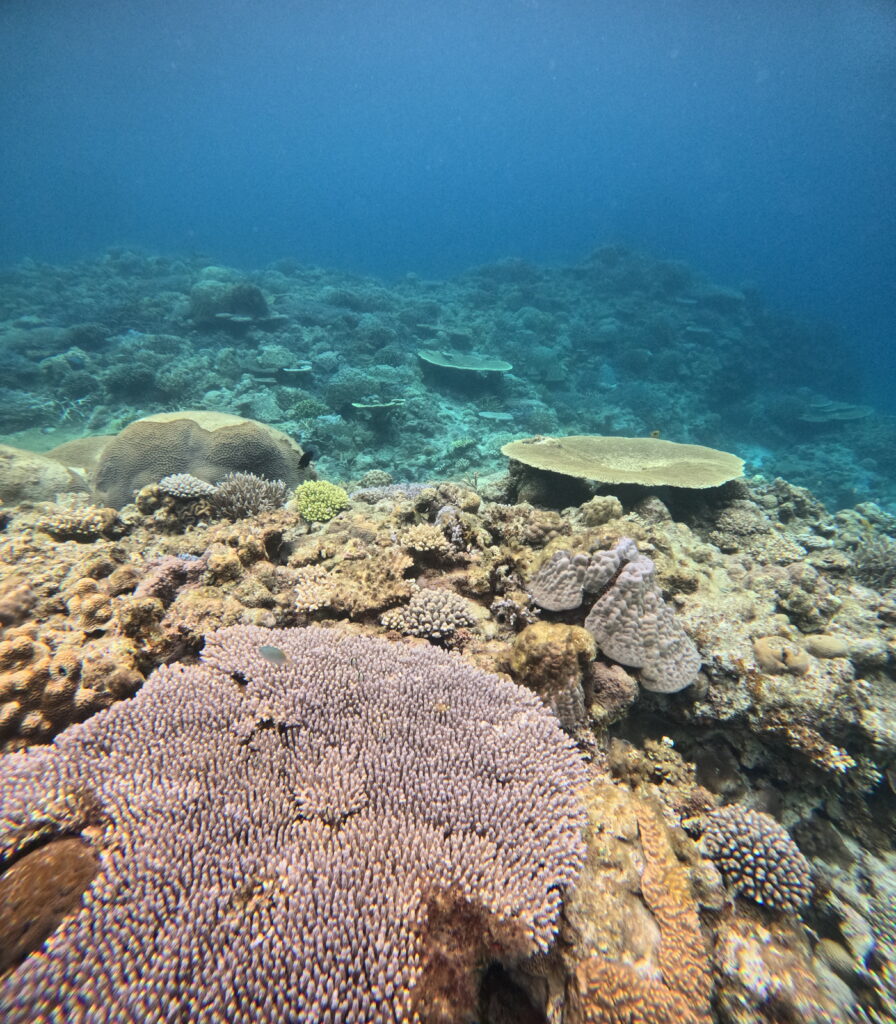
1本目:野崎
1本目はアンカーリングで「野崎」へ。エントリーしてすぐに、食事に夢中なタイマイに遭遇!ダイバーを気にせずムシャムシャと食べる姿を、じっくり観察できました。サンゴの上に群れるハナゴイの乱舞も、いつ見ても圧巻の美しさです。


2本目:唐馬ナンバー2
2本目は「唐馬ナンバー2」で、癒やしのひととき。きめ細やかな白い砂地に、太陽の光がキラキラと降り注ぐ光景は、まさに水中リラクゼーション!スキルアップしたお二人は、砂を巻き上げることなく優雅に中性浮力を楽しんでいました。
3本目:アリガーケーブル
最後はアンカードリフトで「アリガーケーブル」へ。浅場のサンゴは今日も生き生きとしていて、最高のコンディション!ここではアオウミガメも登場してくれました。なんと1日で「タイマイ」と「アオウミガメ」の2種類のウミガメに出会えるという、贅沢な締めくくりとなりました!
Fish & Bubblesは、あなたの「もっと上手くなりたい」を応援します!「苦手なスキルを克服したい」「もっと色々なポイントへ行ってみたい」そんなダイバーの皆様のステップアップを、少人数制で丁寧にサポートいたします。慶良間の海を心ゆくまで楽しみたい方は、ぜひ一緒に潜りましょう!詳細・ご予約はこちら:慶良間ファンダイビングのご案内


